MLS®# SK023733

#80 - Hwy 265 -Fisher Creek Store

$279,900.00 CAD
Candle Lake
MLS®# SK023733


Location


Key Details

$279,900.00
Retail
1,752 SQ.FT
1970
Candle Lake

Description

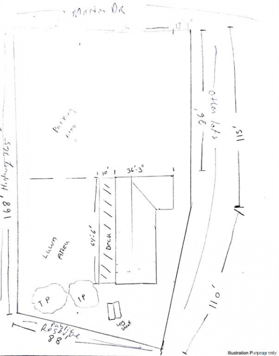
Back on the market and available!! Commercial Building. A versatile 1752sqft vacant shell, primed for your custom layout. Shape the space to match your vision with flexible design options. Add one, two, or three storefronts, or create a fully tailored floor plan to suit your business model. The generous lot provides ample room to expand as your operation grows. The structure has been fully gutted and rebuilt with a new foundation, cement slab, weeping tile, flooring, and floor joists. Significant upgrades completed in 2018 include a new furnace, water heater, updated wiring with 200-amp service, pressure system, 2,200-gallon water tank, plumbing, and a durable metal roof. Set on a 0.48-acre lot (168' x 115') with 168' of Hwy 205 frontage in Fisher Creek, this is one of the subdivision's only commercial parcels. High visibility, steady traffic, and immediate access to the provincial campground and all west-side lake communities make it a standout location. A one-of-akind opportunity offering a flexible, adaptable space with limitless potential for your next venture. Whether you're expanding, reinventing, or starting fresh, this property gives you the canvas to build exactly what you envision.

Listing courtesy of Exp Realty


More Info

City: Candle Lake
Square Footage: 1752
Year Built: 1970
Type: Retail

Heating: Other
Land Size: 0.48
Total Acres: 0.4800
Listed By: Exp Realty